Propriété

2164 Av. Louise-Cloutier

Québec (Beauport), Capitale-Nationale G1E3S1

Terrain | MLS: 28795598

294 000 $ +tx

Description

Rare opportunité ! Terrain vacant prêt à bâtir avec permis déjà octroyé pour la construction d'un triplex. Plans disponibles et inclus dans la vente. Possibilité d'autoconstruction pour les entrepreneurs ou investisseurs souhaitant maximiser leur retour. Zonage conforme pour usage résidentiel multilogements -- idéal pour projet locatif ou occupation partielle. Certaines subventions municipales pourraient s'appliquer : faites vos vérifications. Quartier recherché, à proximité des services et axes routiers. Un projet clé en main ou modulable selon vos ambitions.

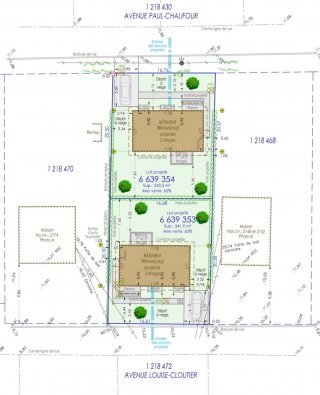
Les vendeurs confirment que l'immeuble a fait l'objet d'une subdivision officielle, créant ainsi deux lots distincts. Chaque lot sera vendu séparément, à un prix de 324 000$ plus taxes applicables.

Il est entendu que les lots ne sont pas vendus ensemble, mais de façon individuelle et indépendante, chacun faisant l'objet d'une transaction distincte. Par contre, si un acheteur souhaite acheter les deux, c'est possible. Voir #

Les nouveaux lots seraient le 6 639 353 et le 6 639 354

Tout est déjà payé : -les frais de fin de parc sont payés -les entrées d'eau des 2 terrains sont faite et payées -les permis de construction sont émis et payés

Les vendeurs ce sont informé et la construction rentre dans les subventions possible par la ville pour un montant de 30 000$/ porte pour un total de 90 000$ par immeuble. Faites vos vérifications pour confirmer et regarder les documents ( échanges avec la ville )

Inclus : Plans, permis de construction

Location


Caractéristiques

Proximité Autoroute/Voie rapide, Cegep, École primaire, École secondaire, Garderie/CPE, Golf, Parc-espace vert, Piste cyclable, Transport en commun, Université
Zonage Multifamilial, Résidentiel
Système d'égouts Municipal
Approvisionnement en eau Municipalité

Contactez-moi

J'accepte d'être contacté par Yan Genois par appel, email et SMS. Pour vous désinscrire, vous pouvez répondre 'stop' à tout moment ou cliquer sur le lien de désinscription dans les emails. Des frais de message et de données peuvent s’appliquer. Politique de confidentialite et Condition de services.